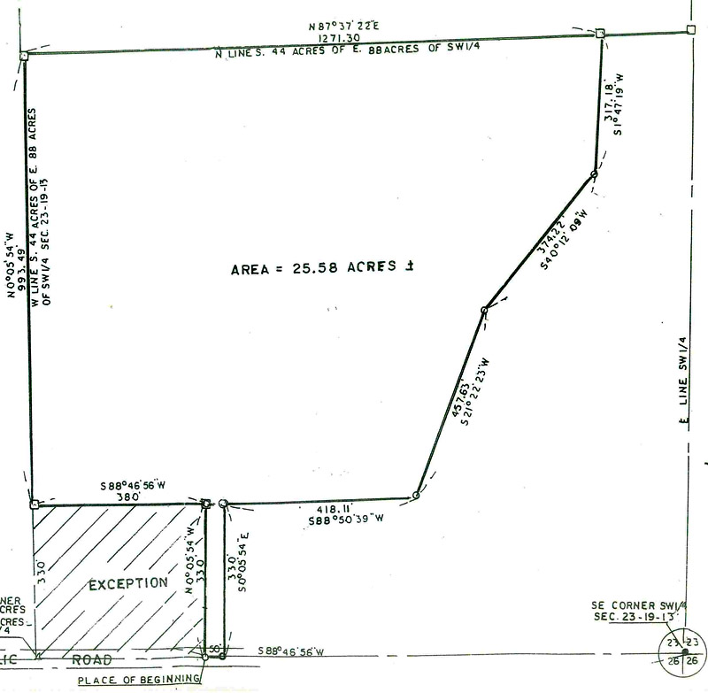
25.58 surveyed acres of tillable farmland in Vermilion County, Illinois.
Directions: From Casey’s in Oakwood, go west on US 150 to Road 700 East, go south on 700 East until road turns and becomes 1500 N, go east 3/8 mile. Property on north side of road.
- 25.58 surveyed, tillable acres
- Primary soils: Sabina, Drummer
- Productivity Index: 123.7
- Possession available for 2020 crop year
- Hard-surface road on the south
- Survey and legal description on website
SOLD
- Salt Fork aerial
- Salt Fork plat
- Salt Fork soils
- Salt Fork topography
- Salt Fork survey
- Salt Fork legal description







All information on this website is presumed accurate.